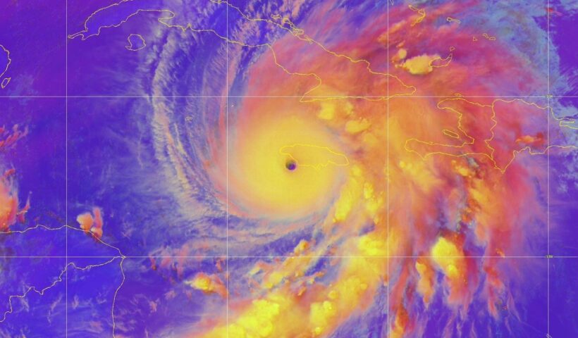
El 28 de octubre, el huracán Melissa se convirtió en uno de los huracanes más fuertes jamás registrados en el océano Atlántico. Este huracán de categoría 5 tiene vientos…
Ver más Huracán Melissa una de las tormentas atlánticas más intensas registradasCategoría: Emerg. y Catástrofes
Apagón eléctrico en todo el mundo, la NASA advierte por un fenómeno sorpresivo e inesperado: “Se está despertando”
Alarma por apagón eléctrico mundial | La NASA advirtió: “Se está despertando el Sol, los estudios presentados indican que una tendencia a la baja se…
Ver más Apagón eléctrico en todo el mundo, la NASA advierte por un fenómeno sorpresivo e inesperado: “Se está despertando”Sobre la paz y seguridad en la Asamblea General de la ONU de 2025
Los discursos de la Asamblea General de la ONU de este año centraron su atención en la política exterior en Gaza, Ucrania, Sudán y la…
Ver más Sobre la paz y seguridad en la Asamblea General de la ONU de 2025Se acelera el calentamiento de los océanos: advierten que la temperatura de los mares batió un nuevo récord
El calentamiento de los océanos alcanzó un máximo: la temperatura media llegó a 21 °C durante la primavera de 2024, lo que marca un récord histórico.…
Ver más Se acelera el calentamiento de los océanos: advierten que la temperatura de los mares batió un nuevo récordLa crisis climática amenaza con reducir hasta 25% del PIB mundial per cápita en 2100
Si no se reducen las emisiones, el calentamiento global podría reducir la renta media mundial en un 24 % hacia finales de siglo, afectando especialmente a…
Ver más La crisis climática amenaza con reducir hasta 25% del PIB mundial per cápita en 2100Identificación de posibles medidas de preparación ante amenazas biológicas
Si bien el progreso en las ciencias y tecnologías biológicas ofrecerá más oportunidades para mejorar el bienestar humano en las próximas décadas, este progreso también…
Ver más Identificación de posibles medidas de preparación ante amenazas biológicasLas inundaciones monzónicas causan más de 700 muertos en Pakistán, y las fuertes lluvias continúan
Las autoridades declararon el estado de emergencia en nueve distritos, entre ellos Buner, Shangla y Mansehra, después de que las lluvias torrenciales registradas entre el…
Ver más Las inundaciones monzónicas causan más de 700 muertos en Pakistán, y las fuertes lluvias continúanLas alertas de Google ofrecen advertencias de terremotos rápidas y baratas
En 2021, Google comenzó a desplegar un sistema que no necesita en absoluto de una red sísmica tradicional. Aprovecha los diminutos acelerómetros de los teléfonos…
Ver más Las alertas de Google ofrecen advertencias de terremotos rápidas y baratasDeclaración de la asamblea de premios Nobel para la prevención de la guerra nuclear
Declaración emitida por la Asamblea de Premios Nobel para la Prevención de la Guerra Nuclear, una reunión de tres días en Chicago con cerca de…
Ver más Declaración de la asamblea de premios Nobel para la prevención de la guerra nuclearAsamblea de premios Nobel para la prevención de la guerra nuclear
Ganadores del Premio Nobel y muchos de los principales expertos mundiales en armas nucleares se pronunciaron sobre un tema siniestro: la alta y aparentemente creciente…
Ver más Asamblea de premios Nobel para la prevención de la guerra nuclear